ländleimmo.at
/
Kaufobjekt
/
Grundstück
/
Baugrundstück
/
Vorarlberg
/
Dornbirn
/ Lustenau
/
Wo Wohnträume beginnen – Grundstück in Lustenau
Wo Wohnträume beginnen – Grundstück in Lustenau
N/A
Grundriss
550,00 m²
Grundstücksgröße
€ 412.500
Preise
Kaufpreis
€ 412.500
Provision
3 % zzgl. 20% USt.
Objekt Informationen
Grundstücksgröße
550,00 m²
Objektart
Grundstück
Objekttyp
Baugrundstück
Externe ID
REALBURO_Hagen5458
Empfohlene Services unserer Partner
Objekt Beschreibung
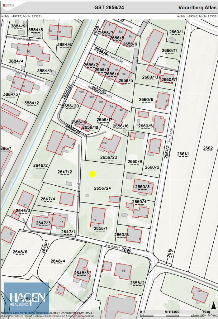
Begehrte Lage: Grundstück in Lustenau zu verkaufen, Naherholungsgebiet (gemäß Teilungsentwurf Gst.-Nr 2656/25 )
Gst.-Nr. 2653/24 (gemäß Teilungsentwurf) 550 m² mit der Dienstbarkeit des Geh- und Fahrrechts für Gst. 2656/25 = Kaufpreis € 380.000,--
Gst.-Nr 2656/25 (gemäß Teilungsentwurf) 550 m² = Kaufpreis € 412.500,--.
Gewidmet ist die Fläche als Baumischgebiet.
Die Aufteilung des Grundstücks erfolgt gemäß dem beigefügten Teilungsentwurf.
Verkauft werden folgende GST:
2656/21 Fläche ca. 102 m²
2656/24 Fläche ca. 1100 m² (Teilungsentwurf)
2656/25 Fläche ca. 215 m²
Dann vereinbaren Sie doch einfach einen Termin mit uns – eine Besichtigung lohnt sich.
Das Realbüro Hagen-Team garantiert professionelle Beratung und völlige Unabhängigkeit.
Durch unsere ausgeprägte Kompetenz und langjährige Erfahrung versichern wir Ihnen eine problemlose und sorgenfreie Abwicklung bis zur Schlüsselübergabe und darüber hinaus.
Ihr Ansprechpartner:
Ralph Moser (Tel. 05577/83 111-20) oder
Sonstige Auslagen:
3,5% Grunderwerbsteuer
1,1% Grundbucheintragungsgebühr
Vertragserrichtungskosten und Barauslagen (Vertagserrichtung Notariat Dr. Christian Holzer)
3% Vermittlungshonorar (+ 20% USt.) lt. empfohlener Geschäftsbedingungen der Bundesinnung gemäß § 10 IMV 1996, i.d.g.F.
Gst.-Nr. 2653/24 (gemäß Teilungsentwurf) 550 m² mit der Dienstbarkeit des Geh- und Fahrrechts für Gst. 2656/25 = Kaufpreis € 380.000,--
Gst.-Nr 2656/25 (gemäß Teilungsentwurf) 550 m² = Kaufpreis € 412.500,--.
Gewidmet ist die Fläche als Baumischgebiet.
Die Aufteilung des Grundstücks erfolgt gemäß dem beigefügten Teilungsentwurf.
Verkauft werden folgende GST:
2656/21 Fläche ca. 102 m²
2656/24 Fläche ca. 1100 m² (Teilungsentwurf)
2656/25 Fläche ca. 215 m²
Einmalkosten / Nebenkosten
Haben wir Ihr Interesse geweckt?Dann vereinbaren Sie doch einfach einen Termin mit uns – eine Besichtigung lohnt sich.
Das Realbüro Hagen-Team garantiert professionelle Beratung und völlige Unabhängigkeit.
Durch unsere ausgeprägte Kompetenz und langjährige Erfahrung versichern wir Ihnen eine problemlose und sorgenfreie Abwicklung bis zur Schlüsselübergabe und darüber hinaus.
Ihr Ansprechpartner:
Ralph Moser (Tel. 05577/83 111-20) oder
Sonstige Auslagen:
3,5% Grunderwerbsteuer
1,1% Grundbucheintragungsgebühr
Vertragserrichtungskosten und Barauslagen (Vertagserrichtung Notariat Dr. Christian Holzer)
3% Vermittlungshonorar (+ 20% USt.) lt. empfohlener Geschäftsbedingungen der Bundesinnung gemäß § 10 IMV 1996, i.d.g.F.