FLEXIBEL
FINANZIEREN

Kreditbedarf
Eigenmittel
%
Jahre
Zins | Laufzeit
mtl. Rate
ländleimmo.at / Kaufobjekt / Gewerbliche Immobilie / Betriebsobjekt / Vorarlberg / Dornbirn / Lustenau / Attraktive Gewerbeimmobilie im Betriebsgebiet Lustenau Nord mit großem Innen- und Außenlager, Bürotrakt und Betriebswohnung.

Attraktive Gewerbeimmobilie im Betriebsgebiet Lustenau Nord mit großem Innen- und Außenlager, Bürotrakt und Betriebswohnung.

images icon

N/A

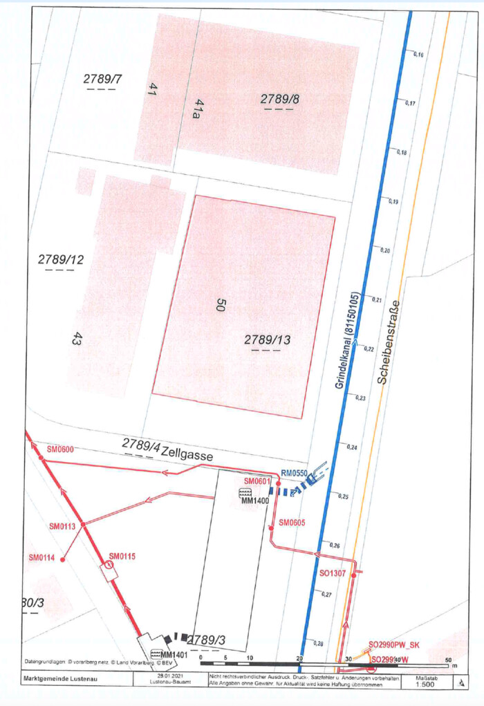
Grundriss

images icon

1.750,00 m²

Nutzfläche

Preis auf Anfrage

Preise

Preis auf Anfrage

Objekt Informationen

Nutzfläche 1.750,00 m²
Grundstücksgröße 1.750,00 m²
Baujahr 1995
Bauweise
  • Holz
Objektart Gewerblich
Objekttyp Betriebsobjekt
Heizung
  • Gas
Parkplatz
  • Freiplatz

Ausstattung:

  • icon Einbauküche
  • icon Teeküche
  • icon Boden: Fliesen, Parkett, Steinboden

Empfohlene Services unserer Partner

Objekt Beschreibung

Willkommen in Ihrer neuen Gewerbeimmobilie in Lustenau! Auf einer Fläche von rund 1.750 m2 finden Sie viel Platz für Ihre unternehmerischen Aktivitäten. Das Objekt (mit BBI-Widmung) kann sehr vielfältig genutzt werden. Ein großes Innenlager (mit rund 250+ Palettenstellplätzen) und ein überdachtes Außenlager wartet schon auf ihre Nutzung. Ein Bürotrakt mit angeschlossenem Verkaufslokal bietet genug Platz zum Entfalten, ebenso wie das praktische Besprechungszimmer "mit Überblick". Eine eigene Betriebswohnung mit rund 120 m2 steht zusätzlich im Obergeschoss zur Verfügung.

Sie finden ein gepflegtes Objekt vor, das sich durch eine durchdachte Raumaufteilung und praktische Ausstattung auszeichnet. Die Innenräume sind mit Fliesen im Verkaufslokal, mit Parkett im Büro und der Betriebswohnung sowie funktional-belastbarem Boden in den Lagerbereichen ausgestattet. Eine Einbauküche und eine angeschlossene Bar runden das Angebot ab – ideal für Pausen und informelle Meetings mit Kunden oder Mitarbeitern.

Die zentrale Gas-Heizung sorgt dafür, dass Ihr Arbeitsumfeld zu jeder Jahreszeit angenehm temperiert ist. Für Elektrofahrzeuge steht eine E-Ladestation bereit.

Die Lage dieser Immobilie ist ein weiterer Pluspunkt. Die Immobilie präsentiert sich im Betriebsgebiet Lustenau Nord, zentral gelegen im Vorarlberger Rheintal und in unmittelbaren Nähe zum Grenzübergang in die Schweiz. Dank der hervorragenden Verkehrsanbindung an den ÖPNV sind Sie und Ihre Mitarbeiter jederzeit problemlos mobil – perfekt für eine familienfreundliche Arbeitsumgebung.

Das Objekt ist aktuell vermietet. Eine Übernahme des Mietvertrags ist nach Absprache möglich.

Nutzen Sie diese einmalige Gelegenheit, eine vielseitige Gewerbeimmobilie in einer attraktiven Lage zu erwerben, sei es zur Nutzung als Lager für Ihr Unternehmen oder als Investitionsobjekt – die Möglichkeiten sind vielfältig. Lassen Sie sich diese Chance nicht entgehen und verwandeln Sie diese Immobilie in Ihren neuen Geschäftserfolg!

Sie brauchen noch mehr Platz? Stellplätze für Ihre Fahrzeuge oder Erweiterungsmöglichkeiten? Wir haben da eine Idee.

Vereinbaren Sie noch heute einen Besichtigungstermin und überzeugen Sie sich selbst von den Vorzügen dieser Immobilie in Lustenau. Wir freuen uns auf Ihre Anfrage!

Angehängte Dokumente